Panoorin ang Bonifacio Ang Unang Pangulo (Metro Manila Film Festival 2014)
#Bonifacioangunangpangulo #mmff2104 Congratulations BONIFACIO ANG UNANG PANGULO: BEST PICTURE/BEST SOUND/BEST SCORE/BEST THEME SONG/BEST FLOAT/FPJ AWARDS/YOUTH CHOICE AWARD/GUILLIERMO AWARD/CULTURAL AWARD #Pilipinas #Pasko#PUSO #trending
#viral https://www.facebook.com/balitang.balita.ngayon
Monthly Archives: December 2014
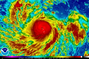
Super Typhoon: Philippines – could hit same areas ravaged by Typhoon Yolanda
PNP Chief Alan Purisima suspended for 6 months by Ombudsman
PNP Chief Alan Purisima suspended for 6 months by Ombudsman. The case stems from an allegedly anomalous contract for the delivery of gun licenses. He is also currently facing plunder charges for unexplained wealth. Concerned citizens have clamored for the relief from duty of the Philippine National Police chief but President Aquino has stood by his appointee. There is little that the Chief Executive can do now to prevent the suspension
implementation order that was signed by the Ombudsman.
